
无人机渐成科研好帮手,近日更迎来好消息!英美一群科学家借助卫星图片及航拍照片,意外发现南极东部一群「人类到不了」的小岛上,栖息了 150 万只阿德利企鹅(Adélie penguin),岛上企鹅之多﹐看似在餐碟上撒了一把芝麻。
南极东部群岛栖息了约 150 万只阿德利企鹅。
岛上栖息 150 万阿德利企鹅
14 位来自英国牛津大学、美国纽约州立大学石溪分校等的科学家,日前在《科学报告(Scientific Reports)》发表研究成果,公布在南极东部的偏远岩石群岛 —— 危险群岛(Danger Islands)有惊人发现,统计出约有 75 万对阿德利企鹅在那交配繁殖,即是总数达到逾 150 万只,可谓形成了一个「企鹅王国」。
群岛覆蓋大量企鹅粪便,引起科学家的注意。
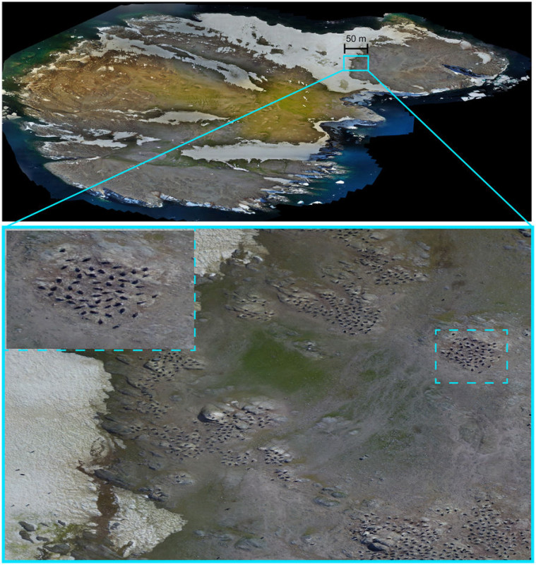
背后有赖卫星及航拍照片
惊人发现背后,航拍来应记一功。综合外媒所得,科学家开初研究卫星照片所见,南极东部群岛覆蓋大量企鹅粪便,引起他们的注意。然而,群岛地势险峻,科学家难以实地考察,遂在 2015 年底部署航拍机纪录实况,并得出近日发布的研究结果。
图为南极东北保莱特岛的阿德利企鹅。
研究团队:发现令人振奋
由于全球暖化正危及企鹅的栖息生态,其中南极西部一个栖息地的阿德利企鹅越来越少。危险群岛以往不被认为是海鸟群体的重要栖息地,是次发现对研究团队来说是一大振奋的好消息。
来自英国牛津大学的团队成员 Tom Hart 表示:「这成为一个经典案例,找到了没有人真正看过的东西!」
来自路易斯安州立大学的学者 Michael Polito 也坦言,对见到岛上满满的企鹅,感到相当震惊。
来自纽约州立大学石溪分校的学者 Heather Lynch 提出,这群野生企鹅因气候变化及滥捕,逃难到危险群岛,冀借此研究,促请当地政府尽快将该岛屿设为「海洋生物保护区」,加以保育。
















