Ugrid树障分析软件是基于图像密集点云匹配和立体测图技术,针对输电线路通道导线弧垂建模、树障安全距离分析、交叉跨越距离测量研发的图像分析软件。 通过无人机获取通道图像数据分析树障问题,相比激光雷达技术降低了树障隐患防范的技术经济门槛。
产品详情
树障分析软件是针对树障隐患分析工作而研发的树障分析统计评估软件,实现树障分析由人工野外实地测量到无人机辅助自动量测的转变,提高树障分析效率,提升树障分析质量,使用智能科技,保障电网安全。该软件基于图像密集点云匹配和立体测图技术,针对输电线路通道进行导线弧垂建模、树障安全距离分析、交叉跨越距离测量。
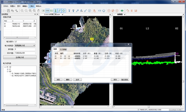
该系统结合无人机数据的空三成果,通过在无人机高清影像半自动均匀量测线路下导线的少量同名点,由同名点根据悬列线公式拟合出电力线轨迹。同时对点云数据进行分类,区分出地面与地表。以此可准确计算量取电力线距离地面和地表的准确距离。最后自动进行危险分析,对危险点进行突出显示,并自动输出实时工况树障危险点分析报告。该技术相比激光雷达技术降低了树障隐患防范的技术经济门槛,为电网故障排查、日常巡视、应急巡视等提供决策依据。














